Free Video Flight Lessons
Latest Videos

An Overview of Airways

Flight of Joy

Charted IFR Altitudes

Objectionable Airports on the VFR Sectional

Departing an Airport Without a SID

Towered Airport Diagrams - Sectional Chart

Uncontrolled Airport Diagrams - Sectional Chart

Changes and New Content

How To Intercept and Fly DME Arcs

How Much Ice Will it Take?

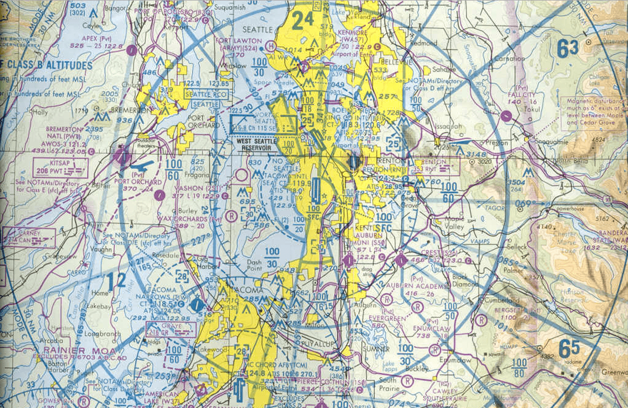
Class B Airspace

What Do YOU Want to See?

Class A Airspace

What is Controlled Airspace? (AIM 3-2-1)

Drawing Holding Entries

Maximum Elevation Figure (MEF) – Sectional Chart

Jeppesen vs. NACO (FAA) Approach Charts

Weather Intelligence

The 5 Most Important Briefing Items on an Approach Chart

Approach Plate Airport Diagram

Approach Plate Minima (Minimums)

Approach Plate Profile View

Approach Plate Plan View
KL
Straight in Approach vs. Straight in Landing

Approach Plate Pilot Briefing

Approach Plate Margin Data

Holding Basics

En-Route Timing

Approach Plate Basics

Weight and Balance

Determining Holding Entries

Teardrop Holding Entries

Direct Holding Entries

Parallel Holding Entries

Low Visibility in SFO

What Cows Can Teach You About Density Altitude

Approach Plates Explained
